Manifest modification request (MMR indicator) - Import
Actors | Shipping agent |
|---|---|
Description | Shipping agent can edit a scheduled manifest after having authorized unloading (UAR indicator). |
Visibility rights | Shipping Agent, Customs, Administrator. |
Go to the detail of the scheduled manifest, click on Unloading operations menu in the Import section:

The list of stopover is presented, click on the scheduled manifest link corresponding:

You can consult information of the scheduled manifest and the UAR (Unloading Authorization Indicator) is activated. Click on BLs section:

Choose the BL that you need to edit, and click on the BL number link corresponding:

You can consult the information of the Bill of Landing, click on Edit button:

You are on the edit page of the Bille of Lading, you can edit:
the general information of the BL
Third-party section
Item section (Add, Edit or Delete)
CargoUnits section (Add, Edit or Delete)
For example, we would like to add a new CargoUnit in the present BL item in BL, click on Item section:

Click on Edit icon:

You are on the edit page of the BL Item, click on +Create CargoUnit button:

Complete the creation form for a CargoUnit and click on Confirm button:

A new CargoUnit is created, you can attach it to the BL Item.
Click on + icon to add an existing CargoUnit for this BL Item:

Select the CargoUnit that you just created:

Complete the Number of packages:

Click on Confirm button to update the modification of the BL Item:

The scheduled manifest is modified.

The MMR (Manifest modification request) was automatically applies, because the CSS was configured customs validation as an implicit action.
In the opposite case, if this action is configured as explicit, you will have to wait for manual validation from customs.
Click on MMR status on the right of the screen:

Click on View the manifest modification request button:

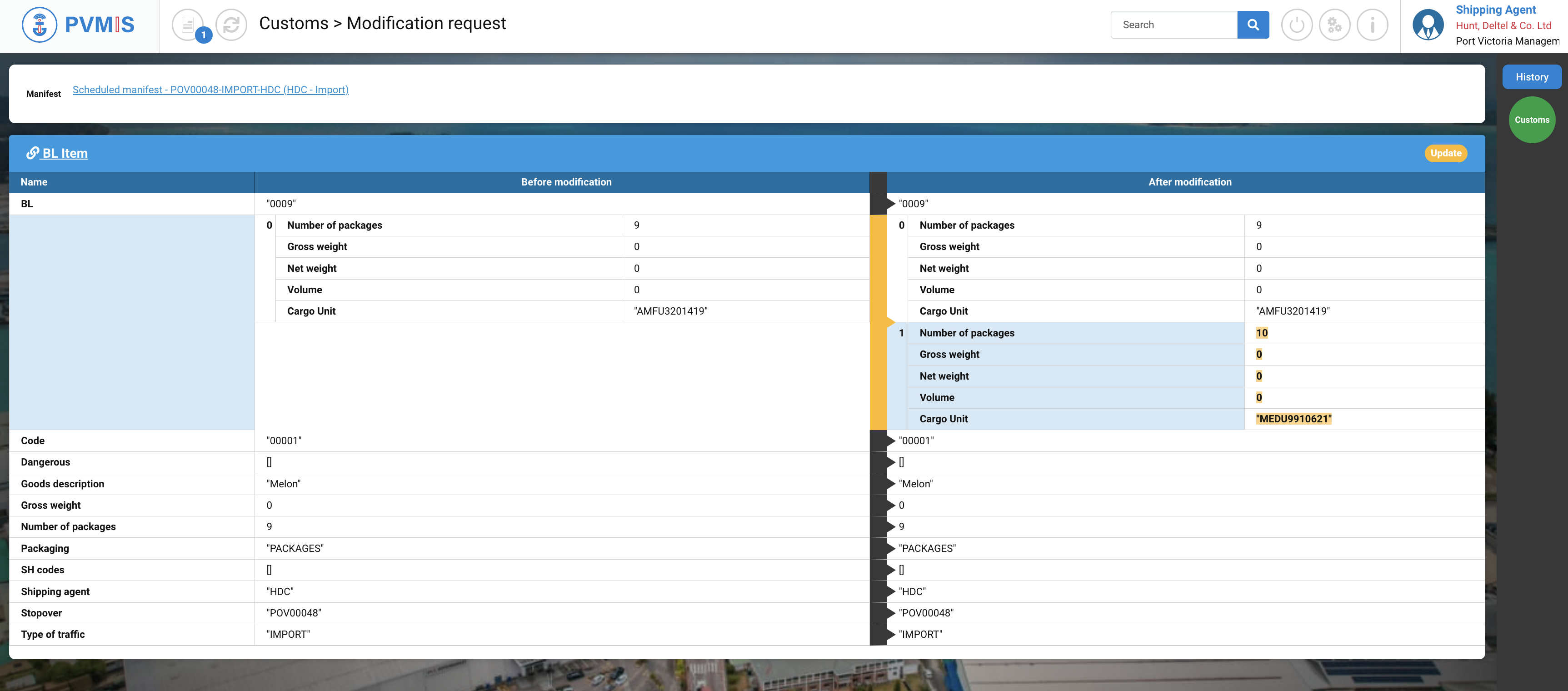
You can consult the detail of the BLItem which was edit, the left columns present the information “Before modification” and the right column present the information “After modification”.

On the right of the screen, click on Customs status:

This is the Customs agreement, which was automatically approved (implicit action). In the case, this Customs agreement was an explicit Action and Customs refused this manifest modification, the Customs status would appear in orange.
